简体版
|
繁体版
无障碍
集
网站首页
政府信息公开
信息公开指南
信息公开制度
信息公开目录
法定主动公开内容
信息公开年报
依申请公开
网上办事
互动交流
不动产登记
党风廉政
26077284
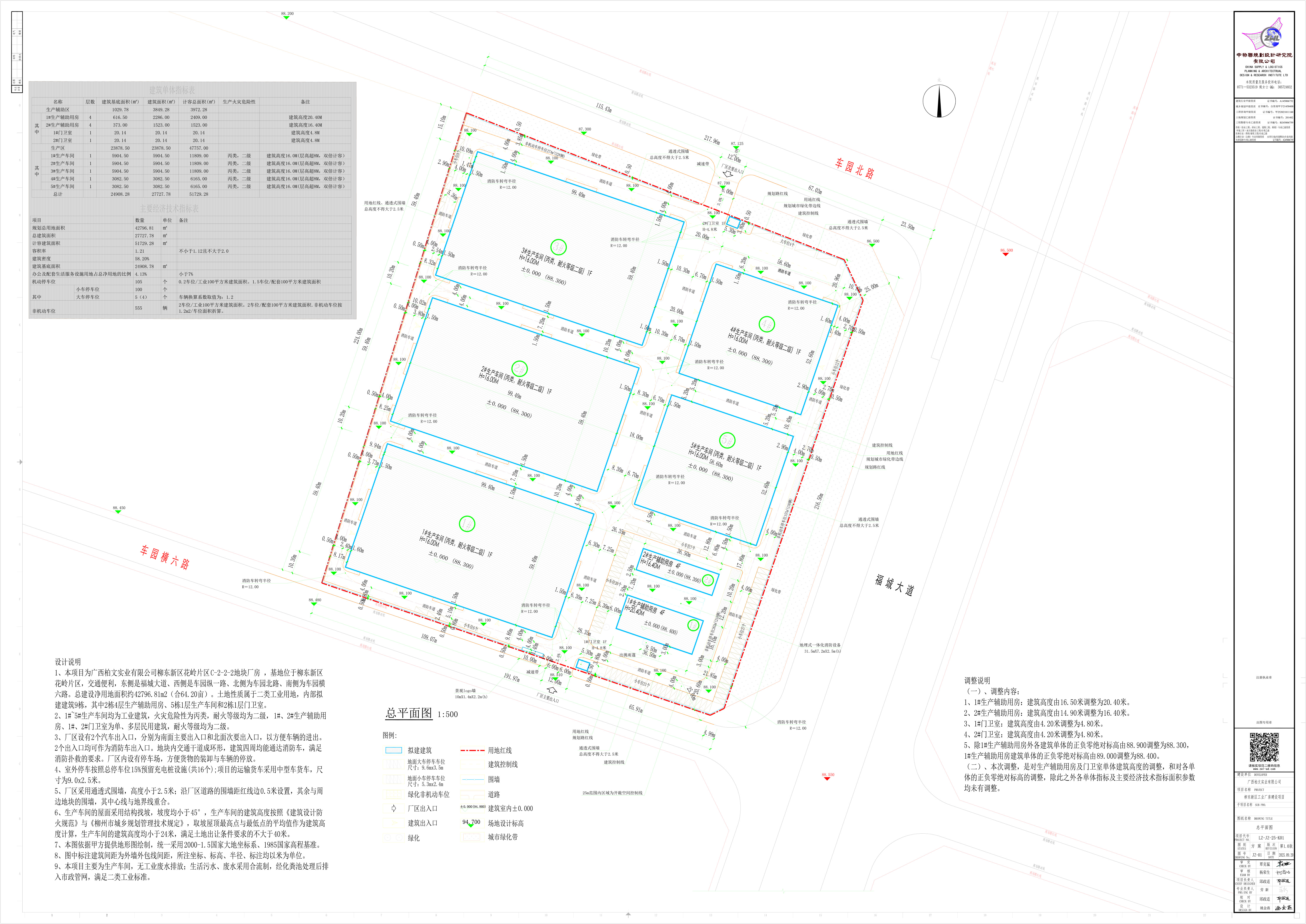
“柳东新区工业厂房建设项目总平图调整”批前公示
20
柳州市自然资源和规划局
2025-10-22
230297
规划总平图公示
当前位置:
首页
>
政务公开
>
政府信息公开
>
法定主动公开内容
>
规划管理
>
规划公示
>
规划总平图公示
“柳东新区工业厂房建设项目总平图调整”批前公示
2025-10-22 15:47 来源:柳州市自然资源和规划局
我要收藏
公共资源调用站点
文章分享
分享
微信
头条
微博
空间
qq
【字体:
大
中
小
】
打印
“
柳东新区工业厂房建设项目总平图调整
”方案批前公示公示期从
2025
年10月22日
至
2025
年10月28日
,现已完成批前公示。
文件下载:
关联文件: